来源:本网 发布日期:2024-07-12
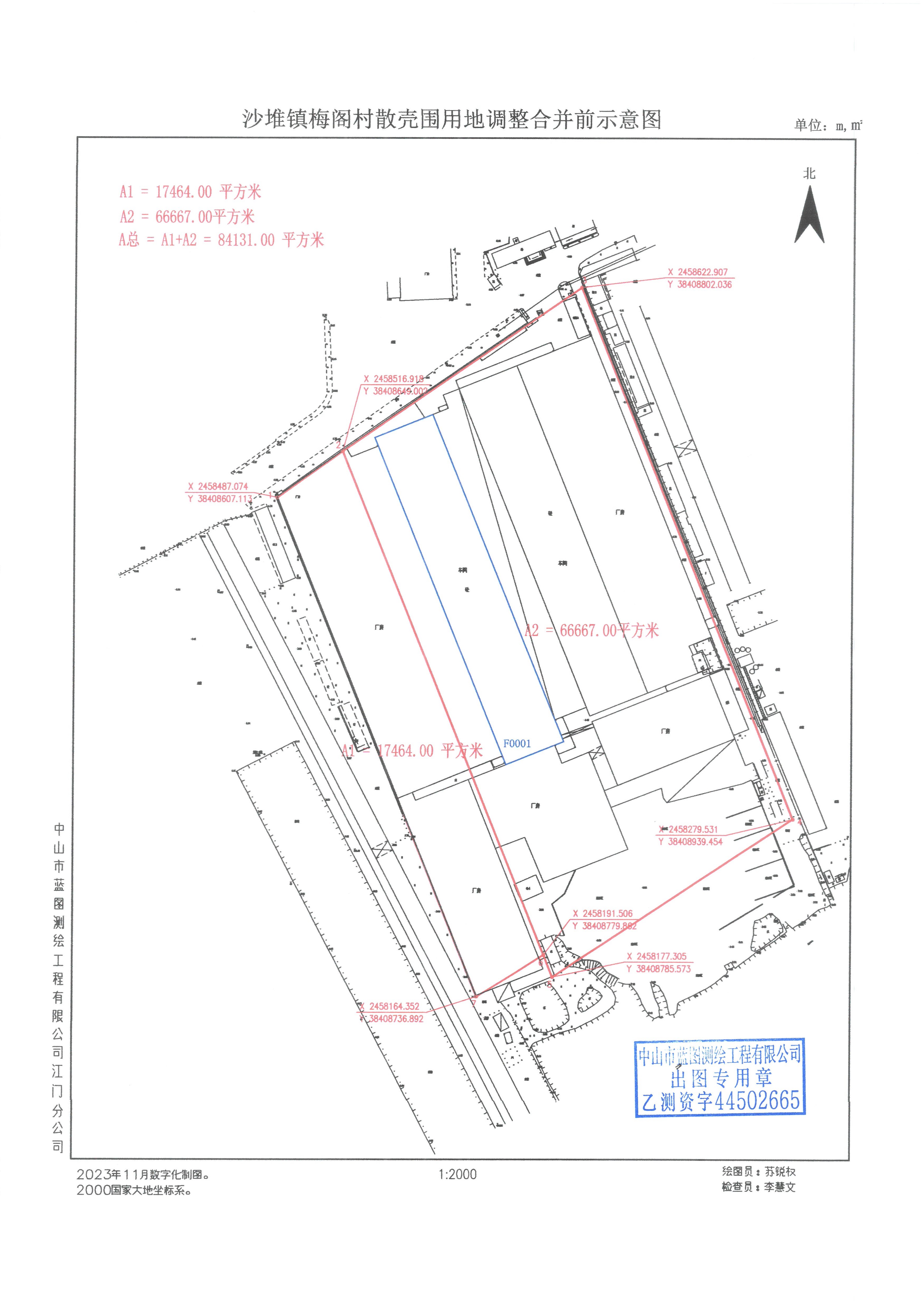
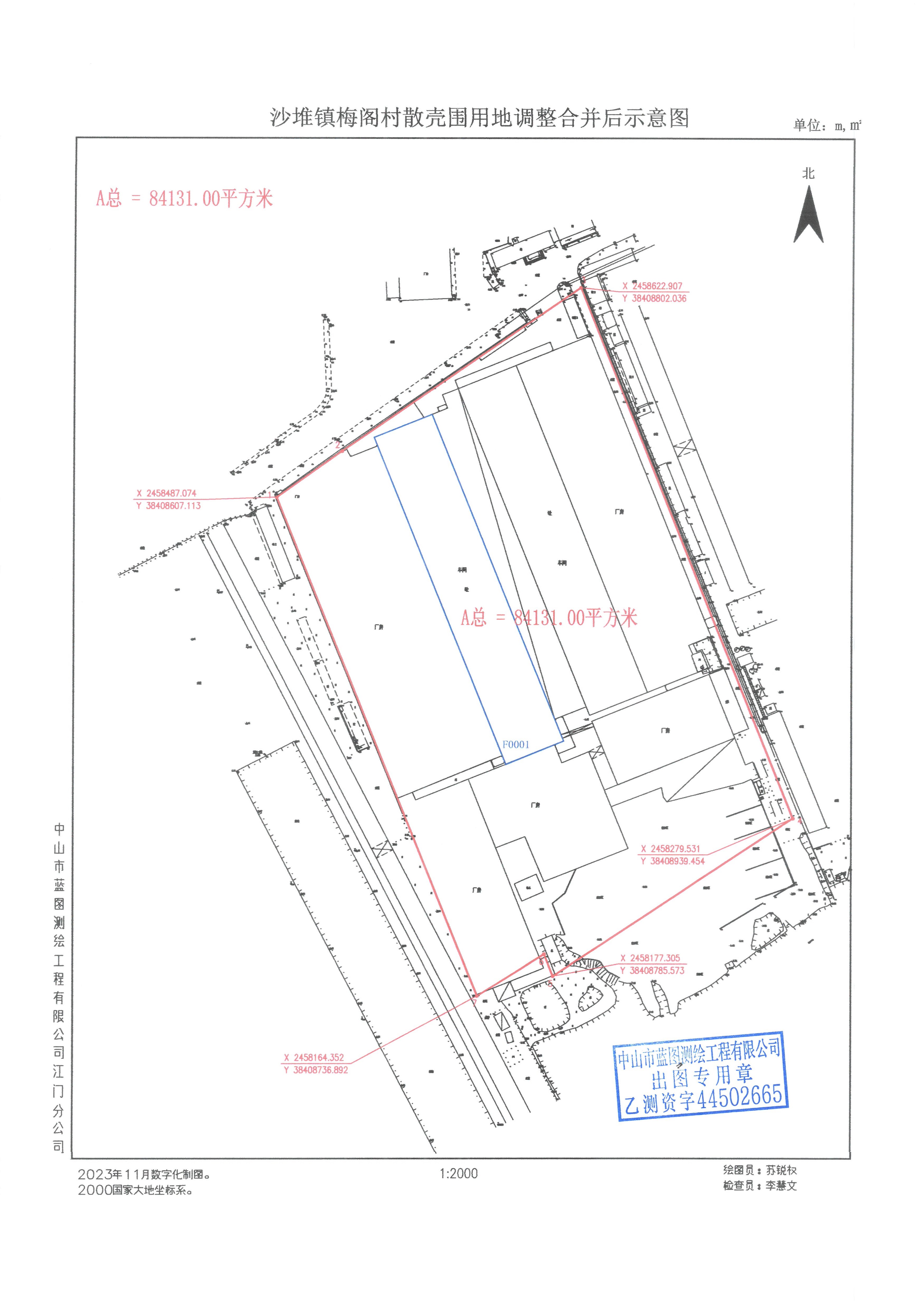
经批准,拟将江门市金瑞宝陶瓷有限公司位于燕雨直播 沙堆镇梅阁村散壳围(土名)面积84131平方米(原面积分别为66667、17464平方米)的用地红线进行合并调整,土地使用期限以年限短的地块来确定。现将合并调整的用地红线(详见附图)向社会进行公示。公示期10天,在公示期间,各单位和个人如对该公示有异议,请与江门市燕雨直播 自然资源局联系。公示期满无人提出异议的,我局将按该方案办理用地红线合并调整手续。
联系单位:江门市燕雨直播 自然资源局
联系电话:0750-6322117
联系人:李先生
江门市自然资源局
2024年7月12日